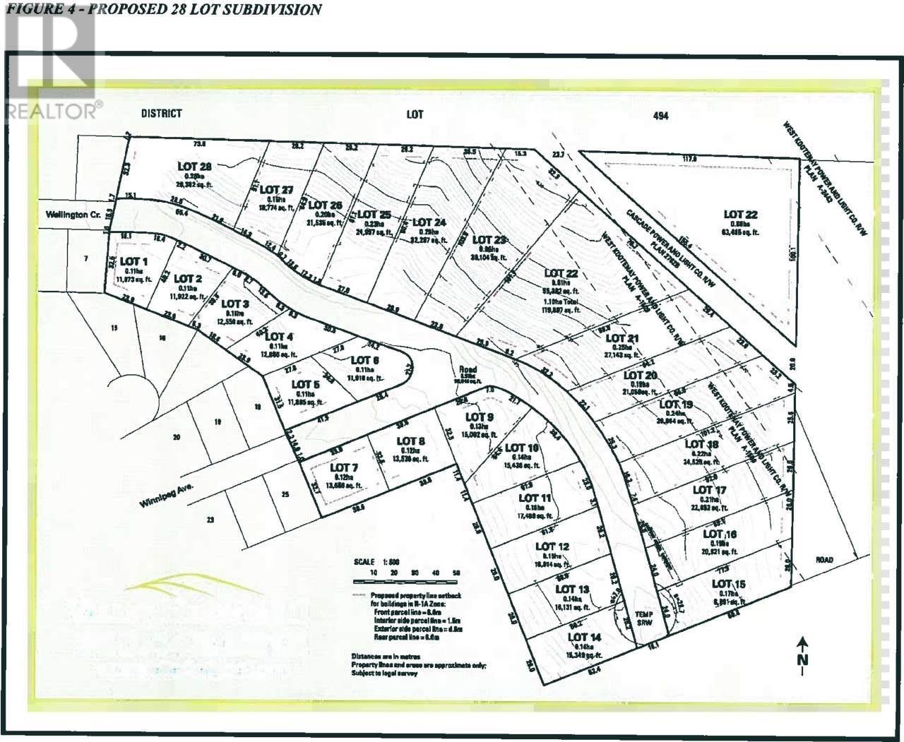
Discover an exceptional development opportunity in the sought-after Valley Heights area of Grand Forks, BC! This 16.7-acre property offers some of the finest views in town, stretching across the valley and surrounding mountains. Zoned R-1A and with the potential for a 28-lot, or more subdivision, this parcel is ideal for residential development. Dual access from both Wellington Crescent and Winnipeg Avenue provides convenience and flexibility for future planning. Located just minutes from downtown Grand Forks, this property combines tranquility with accessibility. Whether you envision a new subdivision or a personal estate, this land holds endless possibilities. Don't miss out on this rare chance to invest in Grand Forks' growing market! Don’t forget to watch the virtual tour! (id:4069)
Address
301 Wellington Crescent
List Price
$898,000
Property Type
Vacant Land
Type of Dwelling
Vacant Land
Transaction Type
Sale
Area
British Columbia
Sub-Area
Grand Forks
Lot Size
16.7 Sq. Ft.
MLS® Number
10328496
Listing Brokerage
Royal LePage Little Oak Realty
Postal Code
V0H1H0
Site Influences
View










